|
사람 마음도 알수 없지만
붕어 마음 나도 몰라
퇴근후 밤 8시 부터
다음날 출근 전까지 밤새 찌불놀이 삼매경
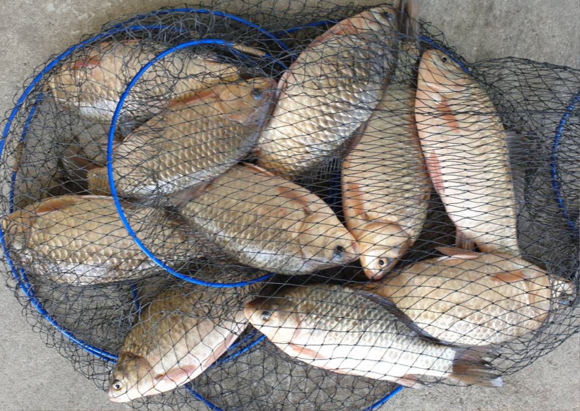
덩어리 월척 마릿수
축하합니다.

사이즈 마릿수를 늘려 가는
9월 시즌이 기대되는 성호낚시터 입니다.


하룻밤 사이
이렇게 다를수 있나요.
밤낚시에
월척 덩어리 마릿수 재미난 찌불 놀이.

주말 평일 방갈로좌대 이용은
홈페지 또는 전화 예약후 이용 가능합니다.
홈페이지 바로가기=>https://sunghoji.com/
예약 출조문의 : 010 3737 1527 / 31 641 0616



밤새 멋진 덩어리 나와 주었네요.
축하합니다.

매주 대량으로 방류한
토종 덩어리들 빠르게 적응후 나오기 시작 하네요.















|