유료터점주조황

· 업주전용게시판으로서 업로드 횟수는 1일 1건으로 제한합니다
· 회원가입후 곧바로 조황을 올릴 수 있으나 별명은 반드시 유료터명의로 올리시기 바랍니다
· 유료터명의가 아니거나 썸네일이 없으면 삭제됩니다.

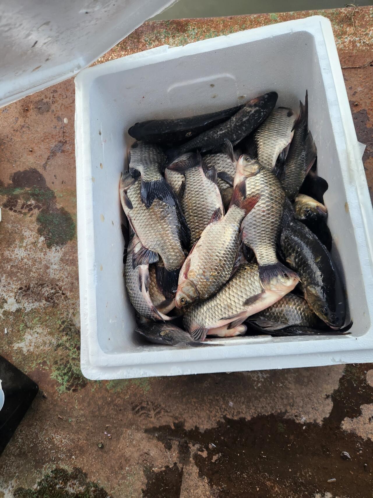
아산 안골지 황금붕어 4짜가 나왔습니다.



이젠 저수율이 만만수 오름수위로 4짜도 나오고

전좌대 노지에서 좋은 조황을 보여 주고 있습니다.

밤낚시에서 아침까지도 잘 나왔다고 합니다.

낚시대는 차별하지 마시고 고루 가져오시면 좋겠습니다.

이젠 아침 저녁으로 쌀쌀하니 따뜻한 외투를 꼭 준비 하시기 바랍니다.

감사합니다.

 

낚시터 주소 및 예약전화번호

주소 : 충청남도 아산시 영인면 고룡산로 448

예약 전화번호 : 010-5427-2369



아산 안골지 황금붕어 4짜가 나왔습니다 (유료터정보 - 유료터점주조황)
아산 안골지 황금붕어 4짜가 나왔습니다 (유료터정보 - 유료터점주조황)
아산 안골지 황금붕어 4짜가 나왔습니다 (유료터정보 - 유료터점주조황)
아산 안골지 황금붕어 4짜가 나왔습니다 (유료터정보 - 유료터점주조황)
아산 안골지 황금붕어 4짜가 나왔습니다 (유료터정보 - 유료터점주조황)
아산 안골지 황금붕어 4짜가 나왔습니다 (유료터정보 - 유료터점주조황)
아산 안골지 황금붕어 4짜가 나왔습니다 (유료터정보 - 유료터점주조황)
아산 안골지 황금붕어 4짜가 나왔습니다 (유료터정보 - 유료터점주조황)
아산 안골지 황금붕어 4짜가 나왔습니다 (유료터정보 - 유료터점주조황)
아산 안골지 황금붕어 4짜가 나왔습니다 (유료터정보 - 유료터점주조황)
아산 안골지 황금붕어 4짜가 나왔습니다 (유료터정보 - 유료터점주조황)
아산 안골지 황금붕어 4짜가 나왔습니다 (유료터정보 - 유료터점주조황)
아산 안골지 황금붕어 4짜가 나왔습니다 (유료터정보 - 유료터점주조황)
아산 안골지 황금붕어 4짜가 나왔습니다 (유료터정보 - 유료터점주조황)
아산 안골지 황금붕어 4짜가 나왔습니다 (유료터정보 - 유료터점주조황)
아산 안골지 황금붕어 4짜가 나왔습니다 (유료터정보 - 유료터점주조황)
아산 안골지 황금붕어 4짜가 나왔습니다 (유료터정보 - 유료터점주조황)
아산 안골지 황금붕어 4짜가 나왔습니다 (유료터정보 - 유료터점주조황)
아산 안골지 황금붕어 4짜가 나왔습니다 (유료터정보 - 유료터점주조황)
아산 안골지 황금붕어 4짜가 나왔습니다 (유료터정보 - 유료터점주조황)
아산 안골지 황금붕어 4짜가 나왔습니다 (유료터정보 - 유료터점주조황)
아산 안골지 황금붕어 4짜가 나왔습니다 (유료터정보 - 유료터점주조황)

 




2025 Mobile Wolchuck