주말
사이즈 마릿수 아쉽지만
나름 선방 하신분도 많이 계시네요.
폭염에
사람도 지치고
붕어도 지쳐 가는 이~때
활성도 높여줄
단비가 몇일간 내린다고 하니 기대됩니다.


이번주
수상좌대에서


지난주
수상좌대에서

수상좌대로 입실 중인
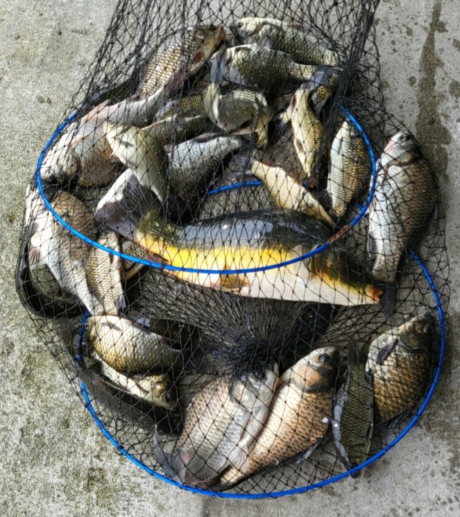
이번주 지난주 어망 주인공


지난주 오렌지2호
이번주 스위트2호실 이랍니다.
감사합니다.

가을의 전령사 코스모스가
성호지 둘레길에 피기 시작 하며 분위기 좋습니다.



















주말
사이즈 마릿수 아쉽지만
나름 선방 하신분도 많이 계시네요.
폭염에
사람도 지치고
붕어도 지쳐 가는 이~때
활성도 높여줄
단비가 몇일간 내린다고 하니 기대됩니다.


이번주
수상좌대에서


지난주
수상좌대에서

수상좌대로 입실 중인
이번주 지난주 어망 주인공


지난주 오렌지2호
이번주 스위트2호실 이랍니다.
감사합니다.

가을의 전령사 코스모스가
성호지 둘레길에 피기 시작 하며 분위기 좋습니다.


















