우리만 그러지 않고
안성지역 비많이 내린 저수지들그래서 황톳빛으로 물든 곳을 보면
조황이 나쁜 곳이 없잖아요~~
이거야말로 황톳빛 특수
언제까지 일지 모르지만
이번 주말도 비소식이 있으니
조황또한 꾸준하겠지요~~

비피해??
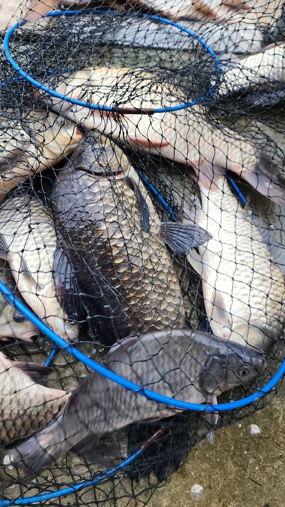
암튼 거의 다 건져냈습니다...



월척들만 꺼내어~~

토종월척

잉붕어 월척








깊은 수심대
완전 좋아요~~





전송받은 사진
사진 전송 너무 감사합니다.


메기는 말지렁이 완전 좋구요~~



우리만 그러지 않고
안성지역 비많이 내린 저수지들조황또한 꾸준하겠지요~~

비피해??
암튼 거의 다 건져냈습니다...



월척들만 꺼내어~~

토종월척

잉붕어 월척








깊은 수심대
완전 좋아요~~





전송받은 사진
사진 전송 너무 감사합니다.


메기는 말지렁이 완전 좋구요~~


