
칠보산 자락 해발 120미터 수려한 풍광과
맑은물 힐링 양평 수곡 낚시터
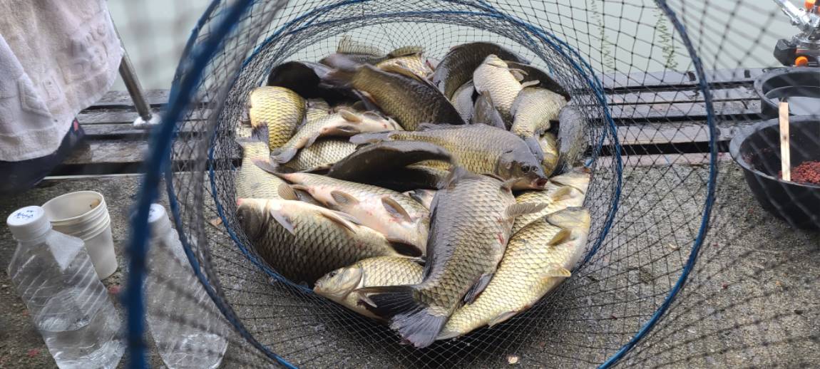
휴가철 7월 셋째주 주중반 조황 소식
오늘과 내일 주말 연이어 붕어방류



장마기간 비가그치고 무더위가
2~3일 찾아온후 새물과 윗물의
온도차이가 있었나 봅니다
주중반 그래도 붕어들이 잘나와주었으며
어제는 다소 주춤했으나 물이
섞여진듯 오늘과 주말 조황을
기대해 봐도 좋을듯 하네요
낮시간에 덩어리 붕어들이 곧잘
나와주고 있으며 주로 초저녁부터
밤과 새벽시간 조황도 좋았답니다
오늘 낮 붕어방류하며 주말인 내일도
튼실한 붕어들 연이어 방류합니다









상류권 하류권 큰 기복은 없으나
조과차이는 번갈아가면 나오네요























오늘 붕어방류후 사진정리해서
다시 올리겠으며 내일도 붕어방류 합니다



























![[크기변환]그림1.png](https://www.fishnet.co.kr/data/C050_16/202203/20220324120123_qhuq.png)