
많은 샘물 유입으로
물은 넘치고 덩어리 얼굴도 보여주고 있네요.
물 수온도 내려가
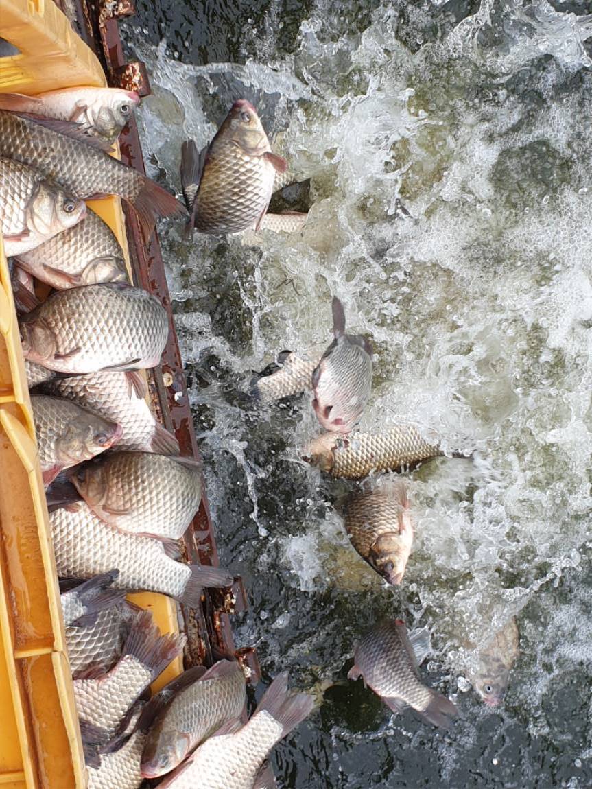
매주 대방류 중인 토종붕어
조만간 대반란의 손맛 찌맛 어망 채우는 기회가 오고 있습니다.
지난주이어 어제
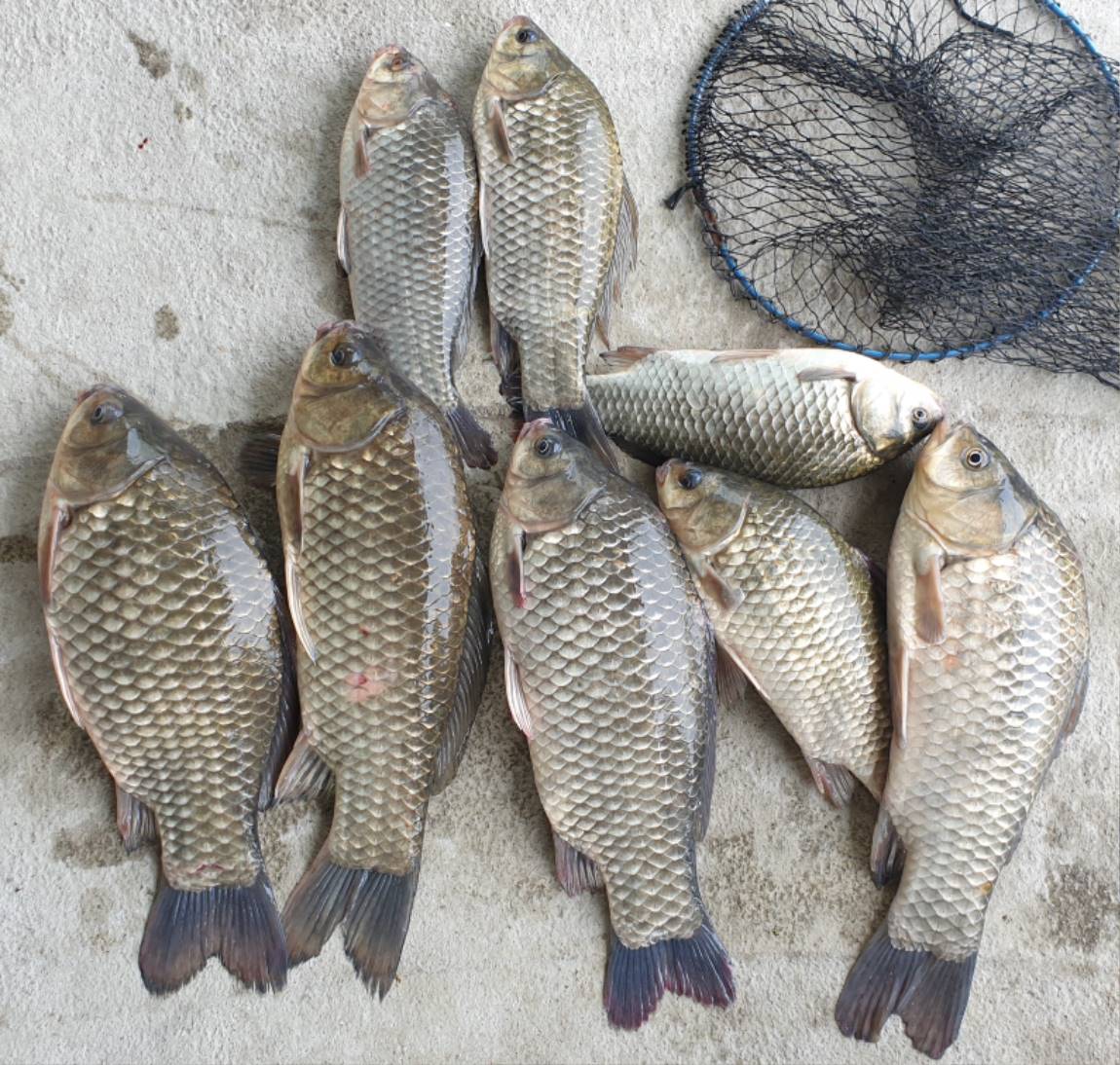
토종붕어 대방류 사진 구경 하세요.

연안좌대 4짜에 허리급 멋집니다.
축하합니다.

방갈로좌대
주말 추석연휴 예약은
성호낚시터 홈페이지 또는 전화후 이용 가능합니다.
홈페이지 바로가기=>https://sunghoji.com/
출조문의 : 010 3737 1527 / 031 641 0616

당일 출조는
전화후 이용 가능 합니다.
전화문의 : 010-3737 1527 / 031 641 0616

가마솥 같은 물은
샘물 유입으로 적정 수온으로 안정 되었습니다.




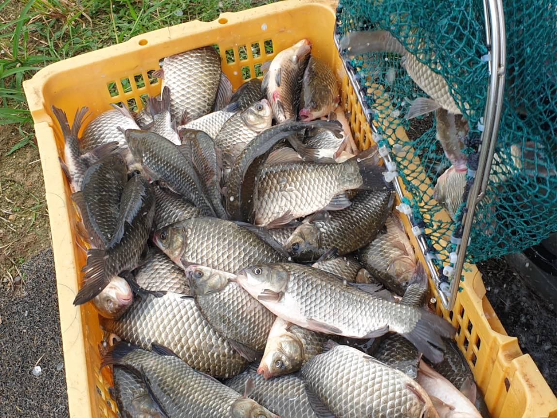
지난주 17일
토종붕어 대방류.


일딴 많이 들어가야
많이 나오겠지요.

가을시즌 추석연휴 대비
토종붕어 대방류는 계속 쭉~~쭉쭉 이어집니다.











어제 8월 23일
토종붕어 대방류.





















